Kampstraat 48A, 9500 ONKERZELE
Terrain à bâtir pour maisons semi-mitoyennes sur une grande parcelle à Geraardsbergen
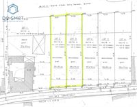
Découvrez ces magnifiques terrains à bâtir pour deux maisons semi-mitoyennes, situés dans un environnement calme et verdoyant à Geraardsbergen.
La parcelle a une superficie de 862 m², une largeur de 14 mètres et une profondeur de 61 mètres. Le jardin est orienté sud-ouest, idéal pour profiter pleinement du soleil laprès-midi et en soirée.
Cette propriété offre une excellente opportunité à ceux qui recherchent de lespace, de la lumière et une bonne orientation dans un cadre de vie agréable.
- Zone latérale non constructible de 4 mètres
- Ligne de construction à 12 mètres de laxe de la voirie existante
- Profondeur de construction au rez-de-chaussée jusquà 18 mètres !
- Hauteur de corniche : 6 mètres
- Garage séparé de 40 m² possible par parcelle
Pour toute information ou visite, veuillez répondre à lannonce. Nous vous contacterons pour fixer un rendez-vous.
Ne manquez pas cette opportunité unique !
Vous n'avez pas trouvé ce que vous cherchiez ?
Envoyez-nous vos souhaits et nous chercherons pour vous.














4Slp.
128 m2