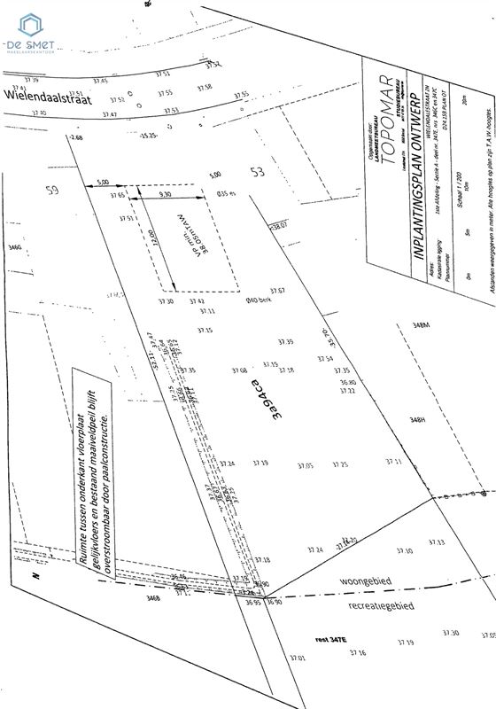
Wielendaalstraat 53, 9660 BRAKEL

0
1
2
3
4
5
6
7
8
9
Beschrijving

Terrain à bâtir pour maison 4 façades au centre de Brakel !

Vous cherchez un terrain idéalement situé pour construire votre maison de rêve ? Ce terrain à projet exceptionnel se trouve à deux pas du centre animé de Brakel un emplacement rare et recherché !

Emplacement : Situation centrale, à proximité immédiate des commerces, écoles et transports en commun.
Dimensions prévues : Attestation urbanistique approuvée pour une construction ouverte de 12 m x 9,30 m.

Actuellement, le terrain comprend 5 garages en façade. Sur demande, le propriétaire est prêt à discuter de leur démolition avant la vente.

Atout supplémentaire : Possibilité dacheter un terrain de prairie attenant, idéal pour les amoureux de la nature, les animaux ou pour agrandir votre jardin.

Intéressé(e) ? Répondez simplement à lannonce, et nous vous contacterons rapidement pour organiser une visite.

Ne manquez pas cette occasion unique de construire votre futur dans le cur verdoyant des Ardennes flamandes !

Prix: 150.000 €
Terrain à bâtir pour maison 4 façades au centre de Brakel !
Afspraak plannen
Contactez-nous

Général
Prix 150.000 €
Adresse Wielendaalstraat 53, 9660 BRAKEL
Superficie terrain 922 m²
Largeur façade 9,3 m
Largeur terrain 15,25 m
Disponibilité A l'acte
Informations financières
Prix 150.000 €
Droits d'enregistrement 18.000 €
Honoraires notaire 1.879 €
Honoraires notaire inc TVA 2.273 €
Total des frais 20.273 €
Prix total 170.273 €
Certificat energétique
PEB Pas applicable
Comfort
Chauffage Non communiqué
Cuisine Non communiqué
Aménagement du territoire
Droit de préemption possible Non
Permis de bâtir obtenu Demandé(e)
Citation pour infraction urbanistique Aucune mesure judiciaire de réparation ou mesure administrative imposée
Autorisation de lotissement Non
Affectation Zone d'habitat
Certificat de sol Présent
Type d'amiante Amiante trouvé, désamiantage obligatoire
Date de certificat d'amiante 2023-07-12 00:00:00
G-score Classe D
P-score Classe D
Héritages Non
Composition

Propriétés connexes

Grande maison avec un fort potentiel ! Ce ancien magasin avec logement offre énormément d'es
ventes
199.999 €
5Slp.
220 m2
Terrain à bâtir pour maison 4 façades au centre de Brakel ! Vous cherchez un terrain idéale
ventes
150.000 €
Grande maison avec un fort potentiel ! Ce ancien magasin avec logement offre énormément d'es
ventes
199.999 €
5Slp.
220 m2
Vendu
Maison de plain-pied avec 3 chambres à coucher, garage et atelier. Cette spacieuse maison
Vendu
3Slp.
185 m2

Vous n'avez pas trouvé ce que vous cherchiez ?

Envoyez-nous vos souhaits et nous chercherons pour vous.

Restez informé