Populierenstraat 3A+3B, 9570 DEFTINGE
Beschrijving
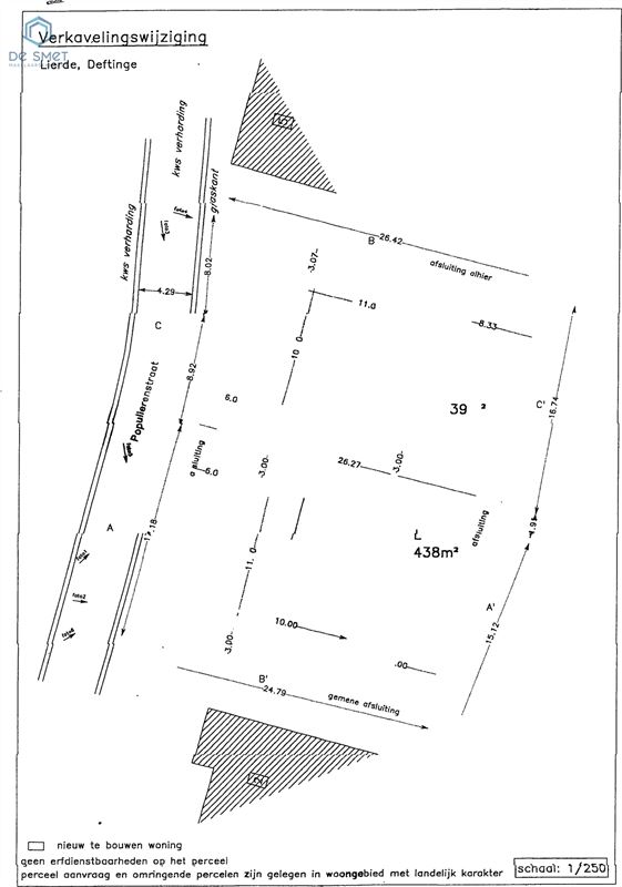
2 Loten voor open bebouwing nabij centrum van Deftinge.
Lot 1: 439 m²
Lot 2: 438 m²
Verkoop bouwgrond met bouwverplichting.
Prijs per kavel.
Voor inlichtingen of bezoek gelieve op de advertentie te reageren, wij bellen u zelf op voor een afspraak.
Prijs:
€ 120.000
2 Loten voor open bebouwing nabij centrum van Deftinge.
Contacteer ons
Algemeen
Prijs
€ 120.000
Adres
Populierenstraat 3A+3B, 9570 DEFTINGE
Grondoppervlakte
438 m²
Financiële Info
Prijs
€ 120.000
Registratierechten
€ 14.400
Honorarium notaris
€ 1.708
Honorarium notaris inc BTW
€ 2.066
Totale kosten
€ 16.466
Totale kostprijs
€ 136.466
Energie certificaat
EPC
Niet van toepassing
Comfort
Verwarming
Niet meegedeeld
Keuken
Niet meegedeeld
Ruimtelijke ordening
Voorkooprecht
Nee
Bouwvergunning verkregen
In aanvraag
Dagvaarding en herstelvordering
Geen rechterlijke herstelmaatregel of bestuurlijke maatregel opgelegd
Verkavelingsvergunning
Ja
Bestemming
Woongebied met landelijk karakter
P-score
Klasse A
Erfgoed
Nee
Indeling
Niet gevonden wat u zocht?
Heeft u uw droomhuis niet gevonden?
Vul hier uw zoekopdracht in!














4Slp.
267.17 m2


