Populierenstraat 3A, 9570 DEFTINGE
Unieke kans: nieuwbouwwoning op maat in het hart van Deftinge
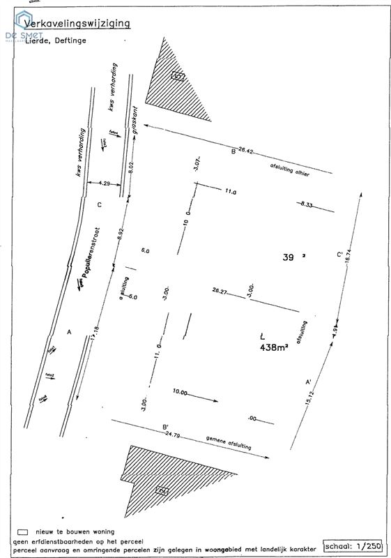
In een rustige zijstraat, op wandelafstand van het centrum van Deftinge, bevindt zich deze kleinschalige verkaveling van twee percelen met een oppervlakte van ca. 438 m² per lot. Een ideale ligging voor wie rustig wil wonen, zonder in te boeten aan bereikbaarheid en voorzieningen.
Op deze percelen kunnen open bebouwingen gerealiseerd worden die volledig naar eigen smaak en wensen ontworpen worden. Zowel stijl, indeling als afwerking zijn vrij te kiezen, in samenwerking met een lokale en ervaren bouwfirma die u begeleidt van eerste ontwerp tot oplevering.
Bouwmogelijkheden:
- Breedte woning: ca. 11 meter
- Bouwdiepte: ca. 11 meter
- Volledig maatwerk mogelijk
De vermelde prijs is een richtprijs en kan aangepast worden in functie van uw persoonlijke keuzes en afwerkingsniveau. Zo behoudt u maximale controle over uw budget én uw droomwoning.
Bent u op zoek naar een nieuwbouwwoning op plan, gebouwd volgens uw eigen visie en met persoonlijke begeleiding? Dan is dit project zeker het ontdekken waard.
Indicatie prijs bouw 416850 € excl btw
Grondprijs 120 000 € onder registratierechten
Interesse of meer informatie?
Reageer via de advertentie en wij nemen zelf contact met u op om een afspraak of verdere toelichting in te plannen.
4Slp.
180 m2Niet gevonden wat u zocht?
Heeft u uw droomhuis niet gevonden?
Vul hier uw zoekopdracht in!

















